Creggaun, Knockanean, Ennis, Co. Clare
€105,000
- Available From:Immediately
About this property
Description
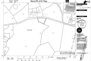
Fantastic opportunity to acquire a stunning elevated site, in a superb location, less than 400m from Knockanean local National School, a 2 mins drive to the M18 Interchange & a five minute drive to Ennis town. Planning Permission previously granted for a 2 storey detached dwelling . Whilst this planning is specific to this client, it sets precedent. ( A new house design & size maybe submitted at your own discretion to planning). Directions: Proceed out the Tulla Road (R352) for Knockanean, the site is located 400m after Knockanean school on the right hand side (indicated by our sign). Folio: CE44202F ITM: 538210,678577 In an area of once off housing ESB & Water at roadside Stunning countryside views Elevated Site in an area of once off housing Subject to Planning Permission Further Details & maps please contact Thomas Maleady (M.I.P.A.V.) Notice Please note we have not tested any apparatus, fixtures, fittings, or services. Interested parties must undertake their own investigation into the working order of these items. All measurements are approximate and photographs provided for guidance only.
The local area
The local area
Local schools and transport

Learn more about what this area has to offer.
School Name | Distance | Pupils | |||
|---|---|---|---|---|---|
| School Name | Knockanean National School | Distance | 960m | Pupils | 266 |
| School Name | Knockanean National School | Distance | 960m | Pupils | 266 |
| School Name | St Anne's Special School | Distance | 2.2km | Pupils | 137 |
School Name | Distance | Pupils | |||
|---|---|---|---|---|---|
| School Name | St Anne's Special School | Distance | 2.2km | Pupils | 137 |
| School Name | St Clare's Ennis | Distance | 2.4km | Pupils | 110 |
| School Name | St Clare's Ennis | Distance | 2.4km | Pupils | 110 |
| School Name | Cbs Primary School | Distance | 2.5km | Pupils | 648 |
| School Name | Cbs Primary School | Distance | 2.5km | Pupils | 648 |
| School Name | Gaelscoil Mhíchíl Cíosóg Inis | Distance | 2.5km | Pupils | 471 |
| School Name | Gaelscoil Mhíchíl Cíosóg Inis | Distance | 2.5km | Pupils | 471 |
School Name | Distance | Pupils | |||
|---|---|---|---|---|---|
| School Name | Rice College | Distance | 2.6km | Pupils | 700 |
| School Name | Rice College | Distance | 2.6km | Pupils | 700 |
| School Name | Colaiste Muire | Distance | 3.0km | Pupils | 999 |
School Name | Distance | Pupils | |||
|---|---|---|---|---|---|
| School Name | Colaiste Muire | Distance | 3.0km | Pupils | 999 |
| School Name | Ennis Community College | Distance | 3.1km | Pupils | 612 |
| School Name | Ennis Community College | Distance | 3.1km | Pupils | 612 |
| School Name | St Flannan's College | Distance | 3.6km | Pupils | 1273 |
| School Name | St Flannan's College | Distance | 3.6km | Pupils | 1273 |
| School Name | St. Joseph's Secondary School Tulla | Distance | 12.3km | Pupils | 728 |
| School Name | St. Joseph's Secondary School Tulla | Distance | 12.3km | Pupils | 728 |
Type | Distance | Stop | Route | Destination | Provider | ||||||
|---|---|---|---|---|---|---|---|---|---|---|---|
| Type | Bus | Distance | 280m | Stop | Gort Na Mbláth | Route | 344 | Destination | Ennis | Provider | Tfi Local Link Limerick Clare |
| Type | Bus | Distance | 280m | Stop | Gort Na Mbláth | Route | 342 | Destination | Ennis | Provider | Tfi Local Link Limerick Clare |
| Type | Bus | Distance | 280m | Stop | Gort Na Mbláth | Route | 344 | Destination | Ennis | Provider | Tfi Local Link Limerick Clare |
Type | Distance | Stop | Route | Destination | Provider | ||||||
|---|---|---|---|---|---|---|---|---|---|---|---|
| Type | Bus | Distance | 290m | Stop | Gort Na Mbláth | Route | 342 | Destination | Flagmount | Provider | Tfi Local Link Limerick Clare |
| Type | Bus | Distance | 290m | Stop | Gort Na Mbláth | Route | 342 | Destination | Flagmount | Provider | Tfi Local Link Limerick Clare |
| Type | Bus | Distance | 290m | Stop | Gort Na Mbláth | Route | 344 | Destination | Whitegate | Provider | Tfi Local Link Limerick Clare |
| Type | Bus | Distance | 520m | Stop | Rosslevan | Route | 342 | Destination | Ennis | Provider | Tfi Local Link Limerick Clare |
| Type | Bus | Distance | 520m | Stop | Rosslevan | Route | 344 | Destination | Ennis | Provider | Tfi Local Link Limerick Clare |
| Type | Bus | Distance | 560m | Stop | Rosslevan | Route | 342 | Destination | Flagmount | Provider | Tfi Local Link Limerick Clare |
| Type | Bus | Distance | 560m | Stop | Rosslevan | Route | 344 | Destination | Whitegate | Provider | Tfi Local Link Limerick Clare |
Ad performance
- Date listed10/03/2026
- Views181
Daft ID: 56516190
