Lisduff, Ballysadare, Co. Sligo
€65,000
- Available From:Immediately
About this property
Description
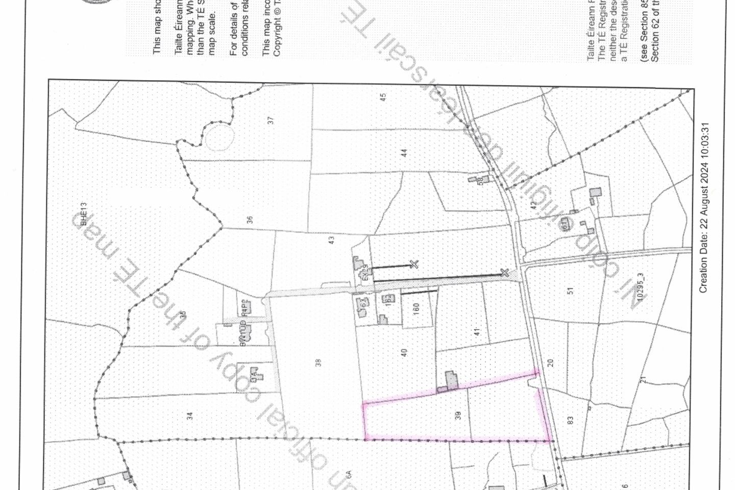
For Sale by Private Treaty C1.6 Hectares (C.3.95 Acres) of Good Quality Agricultural Lands as contained on Folio No SL 15739. The subject lands are very well located only 4 Km west of Ballysadare Village along the N59 Sligo to Ballina Road. The lands benefit from Mains Water and may lend to future development potential subject to the relevant planning permission being obtained and granted. Contact Jonathan Mc Goldrick on 087-9300300 for details. Good Quality Lands comprising of C.1.6 Hectares (C.3.95 Hectares) Mains Water Excellent Location Future Development Potential (Subject to Planning Permission) Contained as Part of Folio No SL 15739 Directions : Take the N59 from Ballysadare Village for approximately 4 Km and the subject lands are located on the right hand side.
The local area
The local area
Local schools and transport

Learn more about what this area has to offer.
School Name | Distance | Pupils | |||
|---|---|---|---|---|---|
| School Name | St Johns National School | Distance | 3.0km | Pupils | 222 |
| School Name | Ransboro National School | Distance | 4.6km | Pupils | 247 |
| School Name | St Paul's National School Collooney | Distance | 5.2km | Pupils | 76 |
School Name | Distance | Pupils | |||
|---|---|---|---|---|---|
| School Name | Collooney National School | Distance | 5.2km | Pupils | 242 |
| School Name | S N Baile An Luig | Distance | 5.5km | Pupils | 29 |
| School Name | Rockfield National School | Distance | 5.7km | Pupils | 187 |
| School Name | Carraroe National School | Distance | 7.2km | Pupils | 403 |
| School Name | Strandhill National School | Distance | 7.4km | Pupils | 255 |
| School Name | Gaelscoil Chnoc Na Re | Distance | 7.7km | Pupils | 211 |
| School Name | St Lassara's National School | Distance | 7.9km | Pupils | 62 |
School Name | Distance | Pupils | |||
|---|---|---|---|---|---|
| School Name | St Marys College | Distance | 3.3km | Pupils | 229 |
| School Name | Summerhill College | Distance | 8.7km | Pupils | 1108 |
| School Name | Ursuline College | Distance | 9.2km | Pupils | 632 |
School Name | Distance | Pupils | |||
|---|---|---|---|---|---|
| School Name | Mercy College | Distance | 9.3km | Pupils | 676 |
| School Name | Sligo Grammar School | Distance | 9.9km | Pupils | 495 |
| School Name | Ballinode College | Distance | 10.6km | Pupils | 246 |
| School Name | Coláiste Muire | Distance | 12.8km | Pupils | 331 |
| School Name | Corran College | Distance | 13.0km | Pupils | 134 |
| School Name | Coola Post Primary School | Distance | 13.4km | Pupils | 549 |
| School Name | Grange Post Primary School | Distance | 20.9km | Pupils | 281 |
Type | Distance | Stop | Route | Destination | Provider | ||||||
|---|---|---|---|---|---|---|---|---|---|---|---|
| Type | Bus | Distance | 3.1km | Stop | Beltra | Route | 458 | Destination | Ballina | Provider | Bus Éireann |
| Type | Bus | Distance | 3.3km | Stop | Ballysadare | Route | Si11 | Destination | Ballina Humbert Street | Provider | Treacy Coaches |
| Type | Bus | Distance | 3.3km | Stop | Ballysadare | Route | Si11 | Destination | Ash Lane | Provider | Treacy Coaches |
Type | Distance | Stop | Route | Destination | Provider | ||||||
|---|---|---|---|---|---|---|---|---|---|---|---|
| Type | Bus | Distance | 3.3km | Stop | Ballysadare | Route | Si11 | Destination | Ballysadare | Provider | Treacy Coaches |
| Type | Bus | Distance | 3.4km | Stop | Rathosey | Route | 479 | Destination | Sligo | Provider | Bus Éireann |
| Type | Bus | Distance | 3.4km | Stop | Rathosey | Route | 981 | Destination | Atu Saint Angela's | Provider | Tfi Local Link Donegal Sligo Leitrim |
| Type | Bus | Distance | 3.4km | Stop | Rathosey | Route | 981 | Destination | Sligo Atu | Provider | Tfi Local Link Donegal Sligo Leitrim |
| Type | Bus | Distance | 3.5km | Stop | Ballysadare | Route | 977 | Destination | Atu Saint Angela's | Provider | Tfi Local Link Donegal Sligo Leitrim |
| Type | Bus | Distance | 3.5km | Stop | Ballysadare | Route | 64 | Destination | Derry | Provider | Bus Éireann |
| Type | Bus | Distance | 3.5km | Stop | Ballysadare | Route | 458 | Destination | Sligo | Provider | Bus Éireann |
Ad performance
- Date listed23/08/2024
- Views4,683
Daft ID: 519941295
