Masslough Road, Ballinakill, Co. Laois
€120,000
- Available From:Immediately
About this property
Description
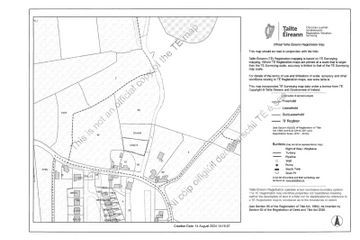
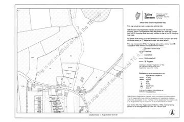
An excellent opportunity to acquire a prime 0.33-hectare (approx. 0.82 acre) site in the charming village setting of Ballinakill, County Laois. This attractive parcel comes with the significant benefit of full planning permission for a two-storey detached dwelling, a detached garage, and a wastewater treatment system — offering a ready-to-build opportunity for prospective purchasers. Set in a peaceful yet convenient location, the site offers the perfect balance of countryside tranquillity with easy access to essential amenities. Ballinakill village provides a range of local services including a primary school, church, shop, and sporting facilities. With planning already secured, buyers can proceed with confidence and avoid the uncertainty and delays often associated with the planning process. The property is ideally positioned within easy reach of Abbeyleix approximately 10 minutes away, which offers supermarkets, cafés, secondary schools and heritage attractions. Portlaoise is approximately 20 minutes away and provides major retail centres, hospital facilities, a train station and convenient access to the M7 motorway. The village of Durrow is also within a short 15-minute drive, offering additional local shops, schools and community amenities. Whether you are seeking to build a forever family home or looking for a well-located investment opportunity in a strong Midlands setting, this site presents exceptional potential. Planning Register Number: 21/714 Folio: LS33603F Folio: LS28413F PLEASE NOTE: THE SUBJECT SITE IS MARKED FOR ILLUSTRATION PURPOSES ONLY AND IS NOT TO SCALE
The local area
The local area
Local schools and transport

Learn more about what this area has to offer.
School Name | Distance | Pupils | |||
|---|---|---|---|---|---|
| School Name | Knock National School | Distance | 2.3km | Pupils | 60 |
| School Name | Ballinakill National School | Distance | 3.9km | Pupils | 98 |
| School Name | Firoda Mixed National School | Distance | 4.9km | Pupils | 78 |
School Name | Distance | Pupils | |||
|---|---|---|---|---|---|
| School Name | The Swan National School | Distance | 6.6km | Pupils | 30 |
| School Name | St Patrick National School Clogh | Distance | 7.2km | Pupils | 63 |
| School Name | Scoil Mhuire Abbeyleix | Distance | 7.2km | Pupils | 261 |
| School Name | Abbeyleix South National School | Distance | 7.5km | Pupils | 87 |
| School Name | Ballyroan Primary School | Distance | 8.2km | Pupils | 180 |
| School Name | Moneenroe National School | Distance | 8.3km | Pupils | 125 |
| School Name | Wolfhill National School Athy | Distance | 8.3km | Pupils | 12 |
School Name | Distance | Pupils | |||
|---|---|---|---|---|---|
| School Name | Heywood Community School | Distance | 3.2km | Pupils | 748 |
| School Name | Castlecomer Community School | Distance | 9.3km | Pupils | 633 |
| School Name | Dunamase College (coláiste Dhún Másc) | Distance | 17.1km | Pupils | 577 |
School Name | Distance | Pupils | |||
|---|---|---|---|---|---|
| School Name | Portlaoise College | Distance | 17.3km | Pupils | 952 |
| School Name | Scoil Chriost Ri | Distance | 18.3km | Pupils | 802 |
| School Name | St. Mary's C.b.s. | Distance | 18.3km | Pupils | 803 |
| School Name | Mountrath Community School | Distance | 19.7km | Pupils | 804 |
| School Name | St Mary's Knockbeg College | Distance | 21.2km | Pupils | 493 |
| School Name | Athy Community College | Distance | 21.6km | Pupils | 655 |
| School Name | Árdscoil Na Trionóide | Distance | 21.9km | Pupils | 882 |
Type | Distance | Stop | Route | Destination | Provider | ||||||
|---|---|---|---|---|---|---|---|---|---|---|---|
| Type | Bus | Distance | 2.4km | Stop | Spink | Route | 822 | Destination | Carlow Setu | Provider | Tfi Local Link Laois Offaly |
| Type | Bus | Distance | 3.8km | Stop | Heywood Gardens | Route | 822 | Destination | Carlow Setu | Provider | Tfi Local Link Laois Offaly |
| Type | Bus | Distance | 3.9km | Stop | Ballinakill | Route | 822 | Destination | Carlow Setu | Provider | Tfi Local Link Laois Offaly |
Type | Distance | Stop | Route | Destination | Provider | ||||||
|---|---|---|---|---|---|---|---|---|---|---|---|
| Type | Bus | Distance | 3.9km | Stop | Ballinakill | Route | 831 | Destination | Portlaoise Jfl Avenue | Provider | Slieve Bloom Coach Tours |
| Type | Bus | Distance | 6.2km | Stop | Chatsworth | Route | 822 | Destination | Carlow Setu | Provider | Tfi Local Link Laois Offaly |
| Type | Bus | Distance | 6.5km | Stop | Clogh | Route | 822 | Destination | Mountrath | Provider | Tfi Local Link Laois Offaly |
| Type | Bus | Distance | 6.5km | Stop | Clogh | Route | 838 | Destination | Market Yard | Provider | Slieve Bloom Coach Tours |
| Type | Bus | Distance | 6.5km | Stop | The Swan | Route | 838 | Destination | Mountmellick | Provider | Slieve Bloom Coach Tours |
| Type | Bus | Distance | 6.5km | Stop | The Swan | Route | 822 | Destination | Carlow Setu | Provider | Tfi Local Link Laois Offaly |
| Type | Bus | Distance | 7.2km | Stop | Abbeyleix | Route | 822 | Destination | Carlow Setu | Provider | Tfi Local Link Laois Offaly |
Ad performance
- Date listed20/02/2026
- Views924
Daft ID: 56501788