Mosstown Kenagh, Longford Town, Co. Longford
Price on Application
- Selling Type:By Private Treaty
- Available From:Immediately
About this property
Description
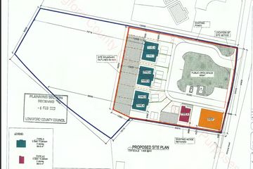
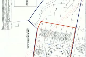
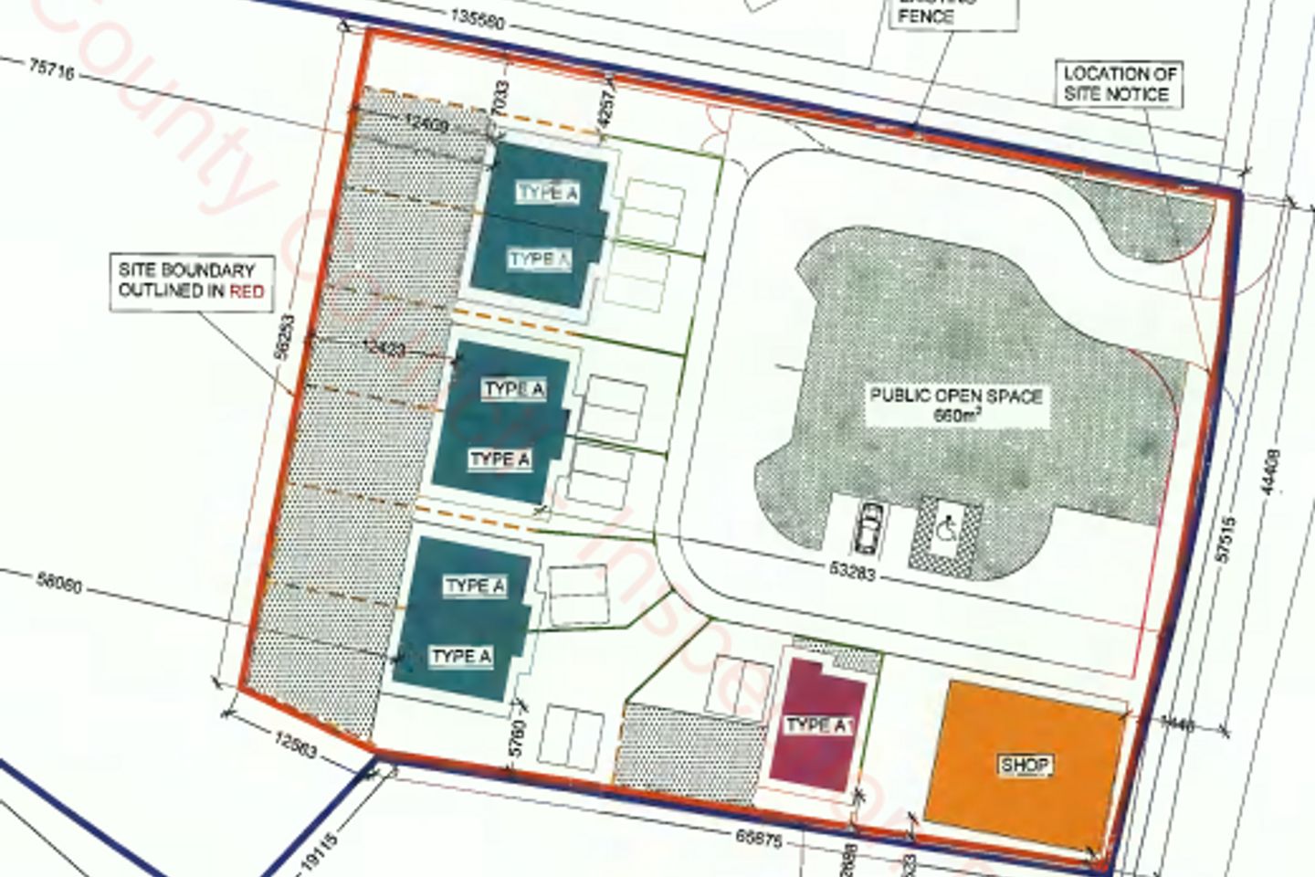
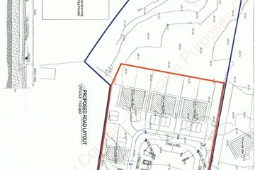
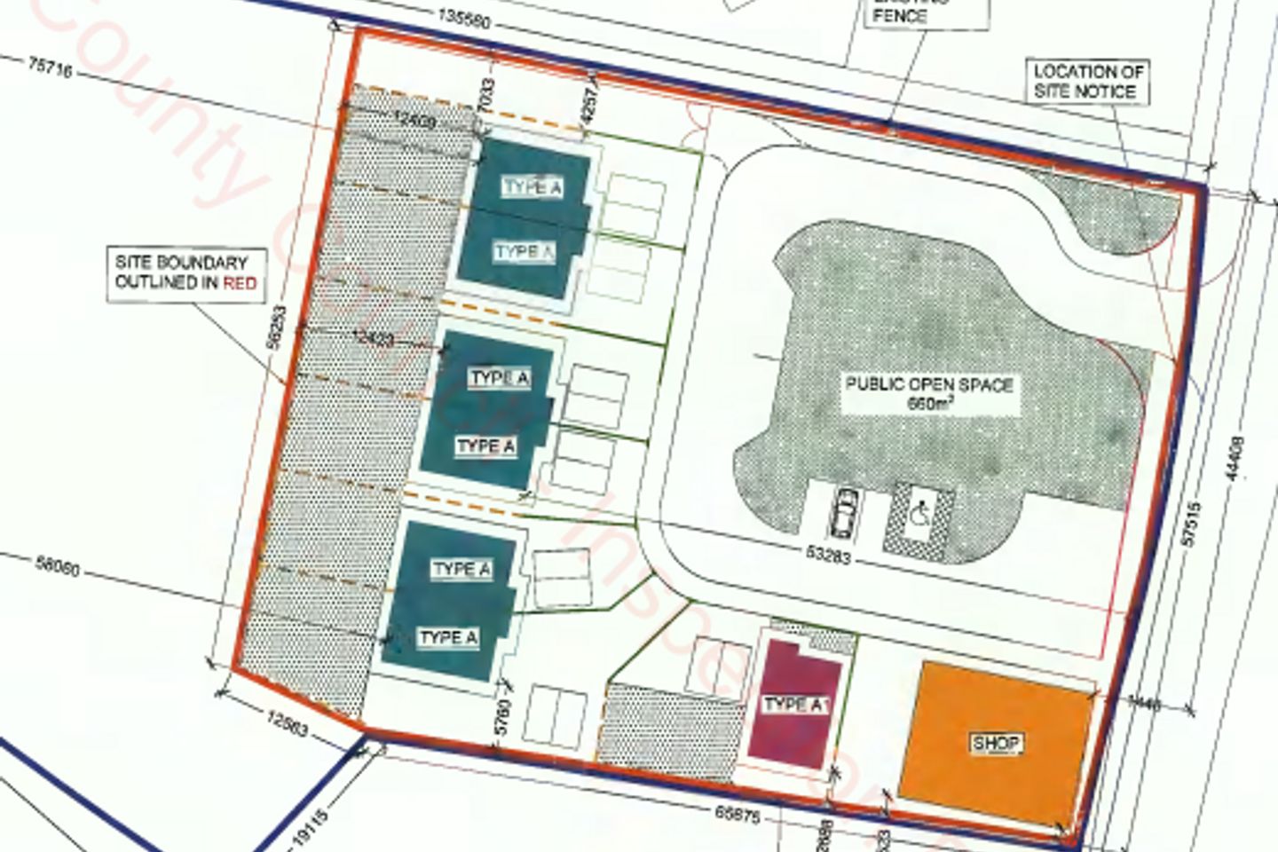
BV Real Estate presents an exceptional opportunity to acquire land located in Mosstown, Kenagh, Longford, which comes with planning permission for the development of six semi-detached houses, one detached house, and a commercial unit of 1,750 sq. ft as joint agents with Marie J. McCormack Auctioneering. This unique combination of residential and commercial development makes it an attractive investment for developers and investors alike. Residential Development: The approved plans include six semi-detached houses and one detached house, catering to the increasing demand for quality housing in the area. Each residence is designed for modern living, providing comfort and convenience for future residents. This residential aspect promises to enhance the community, offering a variety of housing options suitable for families, young professionals, and retirees. Commercial Opportunity: In addition to the residential units, the inclusion of a commercial property measuring 1,750 sq. ft. presents a unique opportunity to create a vibrant hub within Mosstown. This space can accommodate various businesses, such as retail shops, offices, or service-oriented establishments, contributing to local economic growth while providing essential services to residents. Location and Accessibility: The land is strategically located in Mosstown, benefiting from excellent transport links and proximity to local amenities. This prime location enhances the potential for high occupancy rates for the residential units and increased foot traffic for the commercial unit.
The local area
The local area
BER Details
Statistics
- 14/11/2025Entered
- 1,373Property Views
Daft ID: 520227006
