Ballyfarnagh, Knock, Co. Mayo, F12Y5N9
€90,000
- Price per m²:€1,125
- Estimated Stamp Duty:€900
- Selling Type:By Private Treaty
About this property
Description
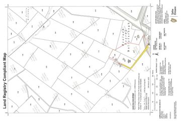
3-Bedroomed Bungalow on Approx. 5 Acres Located just 200m off the N17 (Sligo–Galway road) and approximately 1 mile from Knock village, this house is a great fixer-upper that should appeal to many. Built in the 1950s, the house has been vacant for the last 20 years and should therefore qualify for the Vacant Property Refurbishment Grant and other available schemes. The house is set on an attractive plot of 5 acres of mainly good-quality land, and would be ideal for those seeking ground for gardening or small-scale animal husbandry. A range of old outbuildings and sheds could also be renovated for alternative uses. There are a number of mature trees, both on the site and just outside, which give great character and a rural ambience. The property is serviced with mains water, electricity, and a septic tank. While the house requires total renovation, the basics are in place to allow a new owner to put their individual stamp on it. Ceilings 10 feet high in all rooms give a great sense of space inside the house. The larger towns of Claremorris (10 minutes) and Galway (1 hour) are within easy reach. Accommodation Sitting Room – 4.1 x 3.4m – with open fireplace Kitchen – 2.9 x 3.6m Utility – 2.4 x 2.1m Bathroom – 2.6 x 1.8m Bedroom 1 – 4.1 x 3.4m – with open fireplace Bedroom 2 – 2.7 x 2.6m Bedroom 3 – 3.6 x 2.6m Features High ceilings – 3.2m Spacious feel Mains water Septic tank Old sheds PVC windows Viewings by appointment only
The local area
The local area
Sold properties in this area
Stay informed with market trends
Local schools and transport

Learn more about what this area has to offer.
School Name | Distance | Pupils | |||
|---|---|---|---|---|---|
| School Name | Barnacarroll Central National School | Distance | 2.0km | Pupils | 207 |
| School Name | Knock National School | Distance | 2.3km | Pupils | 147 |
| School Name | Uileog De Burca | Distance | 3.6km | Pupils | 111 |
School Name | Distance | Pupils | |||
|---|---|---|---|---|---|
| School Name | Claremorris National School | Distance | 6.5km | Pupils | 358 |
| School Name | Bekan National School | Distance | 7.1km | Pupils | 170 |
| School Name | Facefield National School | Distance | 7.2km | Pupils | 30 |
| School Name | Kiltimagh Central National School | Distance | 7.9km | Pupils | 248 |
| School Name | Meelickmore National School | Distance | 8.5km | Pupils | 86 |
| School Name | Craggagh National School | Distance | 9.3km | Pupils | 14 |
| School Name | Aghamore National School | Distance | 10.0km | Pupils | 95 |
School Name | Distance | Pupils | |||
|---|---|---|---|---|---|
| School Name | Coláiste Cholmáin | Distance | 5.3km | Pupils | 378 |
| School Name | Mount St Michael | Distance | 6.2km | Pupils | 404 |
| School Name | St Louis Community School | Distance | 8.3km | Pupils | 690 |
School Name | Distance | Pupils | |||
|---|---|---|---|---|---|
| School Name | Ballyhaunis Community School | Distance | 11.3km | Pupils | 750 |
| School Name | Balla Secondary School | Distance | 12.6km | Pupils | 475 |
| School Name | Scoil Muire Agus Padraig | Distance | 18.0km | Pupils | 410 |
| School Name | St Joseph's Community College | Distance | 22.3km | Pupils | 201 |
| School Name | Dunmore Community School | Distance | 22.9km | Pupils | 353 |
| School Name | Davitt College | Distance | 23.9km | Pupils | 880 |
| School Name | St Joseph's Secondary School | Distance | 23.9km | Pupils | 539 |
Type | Distance | Stop | Route | Destination | Provider | ||||||
|---|---|---|---|---|---|---|---|---|---|---|---|
| Type | Bus | Distance | 2.2km | Stop | Knock South | Route | 440 | Destination | Knock Airport | Provider | Bus Éireann |
| Type | Bus | Distance | 2.2km | Stop | Knock South | Route | 440 | Destination | Westport | Provider | Bus Éireann |
| Type | Bus | Distance | 2.2km | Stop | Knock South | Route | 440 | Destination | Westport | Provider | Bus Éireann |
Type | Distance | Stop | Route | Destination | Provider | ||||||
|---|---|---|---|---|---|---|---|---|---|---|---|
| Type | Bus | Distance | 2.2km | Stop | Knock South | Route | 440 | Destination | Athlone | Provider | Bus Éireann |
| Type | Bus | Distance | 2.7km | Stop | Knock | Route | 64 | Destination | Galway | Provider | Bus Éireann |
| Type | Bus | Distance | 2.7km | Stop | Knock | Route | 440 | Destination | Athlone | Provider | Bus Éireann |
| Type | Bus | Distance | 2.7km | Stop | Knock | Route | 440 | Destination | Westport | Provider | Bus Éireann |
| Type | Bus | Distance | 2.7km | Stop | Knock | Route | 421 | Destination | Claremorris | Provider | Bus Éireann |
| Type | Bus | Distance | 2.7km | Stop | Knock | Route | 64 | Destination | Derry | Provider | Bus Éireann |
| Type | Bus | Distance | 2.7km | Stop | Knock | Route | 421 | Destination | Knock Shrine | Provider | Bus Éireann |
Your Mortgage and Insurance Tools
Check off the steps to purchase your new home
Use our Buying Checklist to guide you through the whole home-buying journey.
Budget calculator
Calculate how much you can borrow and what you'll need to save
Ad performance
- Date listed23/05/2025
- Views6,821
- Potential views if upgraded to an Advantage Ad11,118
Similar properties
€82,500
Aghtaboy, Knock, Knock, Co. Mayo, F12N7723 Bed · 1 Bath · Bungalow€90,000
Aiden Street, Kiltimagh, Co. Mayo, F12CT824 Bed · 1 Bath · End of Terrace€125,000
Cloondace, Knock, Co. Mayo3 Bed · 1 Bath · Detached€125,500
Cloondace, Knock, Co. Mayo3 Bed · 1 Bath · Detached
€150,000
Aiden Street, Kiltimagh, Kiltimagh, Co. Mayo, F12HE284 Bed · 1 Bath · Terrace€150,000
Aiden Street, Kiltimagh, Co. Mayo, F12HE284 Bed · 1 Bath · Townhouse€165,000
Dalteen, Claremorris, Claremorris, Co. Mayo, F12E2W04 Bed · 3 Bath · Detached€179,000
Thomas Street, Kiltimagh, Co. Mayo, F12D5213 Bed · 1 Bath · Terrace€190,000
Aiden St, Kiltimagh, Co Mayo, F12DH935 Bed · 2 Bath · Terrace€200,000
6 Carrowmore Drive, Knock, Claremorris, Co. Mayo, F12RD263 Bed · 3 Bath · End of Terrace€240,000
27 Rathclune, Kiltimagh, Kiltimagh, Co. Mayo, F12KW563 Bed · 3 Bath · Semi-D€245,000
Rockfield, Claremorris, Barnycarroll, Co. Mayo, F12HX303 Bed · 1 Bath · Detached
Daft ID: 121823688