Ross, Screggan, Co. Offaly
€100,000
- Selling Type:By Private Treaty
About this property
Description
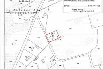
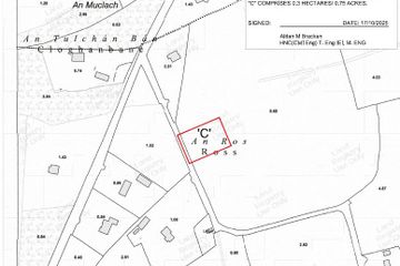
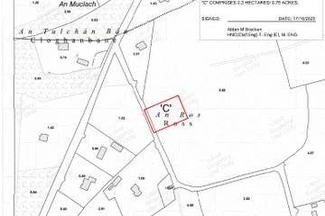
For Sale: Prime 0.75 Acre Site – Ross, Tullamore, Co. Offaly (One of Two Sites Available) A superb opportunity to acquire one of two 0.75 acre residential sites ideally positioned in the peaceful townland of Ross, just a short drive from Tullamore town centre. These well-located sites offer the perfect blend of rural tranquillity and convenient access to local amenities, schools, shops, and transport links. Set in a sought-after area of Co. Offaly, the sites benefit from an attractive countryside setting while remaining highly accessible to the N52 and surrounding towns, making them an excellent choice for anyone wishing to build a family home in a quiet yet well-connected community. Local needs apply, and the sale is subject to planning permission. Please note that the site outline and map location are for guidance purposes only. This is a rare chance to secure a quality site in a prime Offaly location, with two attractive options available. Early enquiries are strongly recommended. For further details or to arrange an inspection, please contact us.
The local area
The local area
Sold properties in this area
Stay informed with market trends
Local schools and transport

Learn more about what this area has to offer.
School Name | Distance | Pupils | |||
|---|---|---|---|---|---|
| School Name | Mucklagh National School | Distance | 1.9km | Pupils | 323 |
| School Name | St Joseph's National School | Distance | 2.4km | Pupils | 94 |
| School Name | Ballinamere National School | Distance | 5.3km | Pupils | 195 |
School Name | Distance | Pupils | |||
|---|---|---|---|---|---|
| School Name | Offaly School Of Special Education | Distance | 5.4km | Pupils | 42 |
| School Name | Sc Mhuire Tullamore | Distance | 5.4km | Pupils | 266 |
| School Name | Scoil Bhríde Boys National School | Distance | 5.4km | Pupils | 114 |
| School Name | Coolanarney National School | Distance | 5.5km | Pupils | 69 |
| School Name | Scoil Charthaigh Naofa | Distance | 6.3km | Pupils | 165 |
| School Name | Scoil Eoin Phóil Ii Naofa | Distance | 6.3km | Pupils | 213 |
| School Name | St Philomenas National School | Distance | 6.3km | Pupils | 166 |
School Name | Distance | Pupils | |||
|---|---|---|---|---|---|
| School Name | Killina Presentation Secondary School | Distance | 4.2km | Pupils | 715 |
| School Name | Coláiste Choilm | Distance | 5.8km | Pupils | 696 |
| School Name | Tullamore College | Distance | 6.4km | Pupils | 726 |
School Name | Distance | Pupils | |||
|---|---|---|---|---|---|
| School Name | Sacred Heart Secondary School | Distance | 6.5km | Pupils | 579 |
| School Name | Clonaslee College | Distance | 11.0km | Pupils | 256 |
| School Name | Ard Scoil Chiaráin Naofa | Distance | 11.7km | Pupils | 331 |
| School Name | Coláiste Naomh Cormac | Distance | 12.6km | Pupils | 306 |
| School Name | Mercy Secondary School | Distance | 14.9km | Pupils | 720 |
| School Name | Gallen Community School Ferbane | Distance | 18.1km | Pupils | 433 |
| School Name | Moate Community School | Distance | 20.6km | Pupils | 910 |
Type | Distance | Stop | Route | Destination | Provider | ||||||
|---|---|---|---|---|---|---|---|---|---|---|---|
| Type | Bus | Distance | 910m | Stop | Screggan | Route | 847 | Destination | Bachelors Walk | Provider | Kearns Transport |
| Type | Bus | Distance | 910m | Stop | Screggan | Route | 847 | Destination | Dublin Airport | Provider | Kearns Transport |
| Type | Bus | Distance | 910m | Stop | Screggan | Route | 845 | Destination | Earlsfort Terrace, Stop 1013 | Provider | Kearns Transport |
Type | Distance | Stop | Route | Destination | Provider | ||||||
|---|---|---|---|---|---|---|---|---|---|---|---|
| Type | Bus | Distance | 910m | Stop | Screggan | Route | Um02 | Destination | Kingsbury, Stop 5114 | Provider | Kearns Transport |
| Type | Bus | Distance | 920m | Stop | Screggan | Route | 847 | Destination | Birr | Provider | Kearns Transport |
| Type | Bus | Distance | 920m | Stop | Screggan | Route | 845 | Destination | Birr | Provider | Kearns Transport |
| Type | Bus | Distance | 920m | Stop | Screggan | Route | Um02 | Destination | Birr, Stop 152181 | Provider | Kearns Transport |
| Type | Bus | Distance | 920m | Stop | Screggan | Route | 847 | Destination | Portumna | Provider | Kearns Transport |
| Type | Bus | Distance | 920m | Stop | Screggan | Route | 847 | Destination | Banagher | Provider | Kearns Transport |
| Type | Bus | Distance | 1.3km | Stop | Mucklagh | Route | Um02 | Destination | Kingsbury, Stop 5114 | Provider | Kearns Transport |
Your Mortgage and Insurance Tools
Check off the steps to purchase your new home
Use our Buying Checklist to guide you through the whole home-buying journey.
Budget calculator
Calculate how much you can borrow and what you'll need to save
Statistics
- 10/12/2025Entered
- 175Property Views
- 285
Potential views if upgraded to a Daft Advantage Ad
Learn How
Similar properties
Daft ID: 16453243
Contact Agent
Home Insurance
Quick quote estimator
