Site with FPP, The Hill, Baltimore, Co. Cork
€300,000
- Selling Type:By Private Treaty
About Site with FPP, The Hill
Description
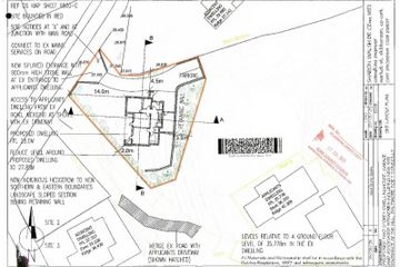
Site with full planning permission in a superb location within Baltimore village. The site extends to approximately 0.16 acres and full planning permission was granted in January 2024 (Ref: 23/397). The property’s modern design has been carefully considered to maximise its spectacular setting and views, with the main living accommodation located on the first floor. The open-plan kitchen, living, and dining area opens onto a wonderful balcony through large sliding glass doors, creating the perfect space to enjoy summer evenings while seamlessly connecting the indoors with the outdoors. Also on this floor is the master bedroom suite, which enjoys superb harbour views through an impressive feature window. The ground floor comprises three further bedrooms, one of which could easily be used as a home office or additional living space, along with a main bathroom and utility room. Externally, there is scope to add a garage, ideal for additional storage or workspace, particularly for boating or water-sports equipment if required. Ideally located just a short stroll from the pier and the village square, Baltimore has a thriving community and is popular with sailors, walkers, and food lovers alike. The village enjoys a year-round population, regular ferry connections to the islands, and a selection of cafés, pubs, and restaurants. This site presents a rare opportunity to create a magnificent home in one of West Cork’s most sought-after coastal locations. Services: Mains Services available Title: Freehold
The local area of Site with FPP, The Hill
Sold properties in this area
Stay informed with market trends
Local schools and transport

Learn more about what this area has to offer.
School Name | Distance | Pupils | |||
|---|---|---|---|---|---|
| School Name | Rath National School | Distance | 2.4km | Pupils | 121 |
| School Name | Lisheen National School | Distance | 5.7km | Pupils | 56 |
| School Name | Kilcoe National School | Distance | 8.8km | Pupils | 24 |
School Name | Distance | Pupils | |||
|---|---|---|---|---|---|
| School Name | S N Cleire | Distance | 10.1km | Pupils | 3 |
| School Name | Abbeystrewry National School | Distance | 10.2km | Pupils | 139 |
| School Name | Ballydehob National School | Distance | 10.7km | Pupils | 93 |
| School Name | St Joseph's Skibbereen | Distance | 11.1km | Pupils | 195 |
| School Name | Gaelscoil Dr M Ui Shuilleabhain | Distance | 11.3km | Pupils | 78 |
| School Name | St Patrick's Boys' National School | Distance | 11.3km | Pupils | 214 |
| School Name | Ballydehob National School | Distance | 11.3km | Pupils | 24 |
School Name | Distance | Pupils | |||
|---|---|---|---|---|---|
| School Name | Skibbereen Community School | Distance | 11.1km | Pupils | 945 |
| School Name | Schull Community College | Distance | 12.9km | Pupils | 359 |
| School Name | Colaiste Pobail Bheanntraí | Distance | 22.1km | Pupils | 766 |
School Name | Distance | Pupils | |||
|---|---|---|---|---|---|
| School Name | Mount St Michael | Distance | 26.5km | Pupils | 379 |
| School Name | Maria Immaculata Community College | Distance | 31.4km | Pupils | 639 |
| School Name | Clonakilty Community College | Distance | 37.2km | Pupils | 700 |
| School Name | Sacred Heart Secondary School | Distance | 37.7km | Pupils | 558 |
| School Name | Beara Community School | Distance | 41.7km | Pupils | 298 |
| School Name | Scoil Mhuire | Distance | 42.0km | Pupils | 106 |
| School Name | Pobalscoil Inbhear Scéine | Distance | 47.0km | Pupils | 614 |
Type | Distance | Stop | Route | Destination | Provider | ||||||
|---|---|---|---|---|---|---|---|---|---|---|---|
| Type | Bus | Distance | 210m | Stop | Baltimore | Route | 266a | Destination | Castletownshend | Provider | Tfi Local Link Cork |
| Type | Bus | Distance | 210m | Stop | Baltimore | Route | 266b | Destination | Union Hall | Provider | Tfi Local Link Cork |
| Type | Bus | Distance | 500m | Stop | Baltimore East | Route | 266a | Destination | Castletownshend | Provider | Tfi Local Link Cork |
Type | Distance | Stop | Route | Destination | Provider | ||||||
|---|---|---|---|---|---|---|---|---|---|---|---|
| Type | Bus | Distance | 520m | Stop | Baltimore East | Route | 266b | Destination | Baltimore | Provider | Tfi Local Link Cork |
| Type | Bus | Distance | 5.2km | Stop | Lisheen Lower | Route | 265 | Destination | Mizen Head | Provider | Tfi Local Link Cork |
| Type | Bus | Distance | 5.2km | Stop | Lisheen Lower | Route | 237 | Destination | Skibbereen | Provider | Bus Éireann |
| Type | Bus | Distance | 5.7km | Stop | Lisheen School | Route | 265 | Destination | Crookhaven | Provider | Tfi Local Link Cork |
| Type | Bus | Distance | 6.7km | Stop | Oldcourt | Route | 266b | Destination | Union Hall | Provider | Tfi Local Link Cork |
| Type | Bus | Distance | 6.7km | Stop | Oldcourt | Route | 266a | Destination | Castletownshend | Provider | Tfi Local Link Cork |
| Type | Bus | Distance | 7.0km | Stop | Church Cross | Route | 270 | Destination | Bantry Via Bandon | Provider | Bus Éireann |
Your Mortgage and Insurance Tools
Check off the steps to purchase your new home
Use our Buying Checklist to guide you through the whole home-buying journey.
Budget calculator
Calculate how much you can borrow and what you'll need to save
Ad performance
- Date listed27/03/2026
- Views1,945
- Potential views if upgraded to an Advantage Ad3,170
Properties similar to Site with FPP, The Hill
€295,000
17 The Flax Mills, Upper Bridge Street, Skibbereen, Co. Cork, P81T6673 Bed · 1 Bath · Townhouse€325,000
Drisheen, Skibbereen, Co. Cork, P81KH763 Bed · 1 Bath · Bungalow€335,000
42 The Moorings, Skibbereen, Co. Cork, P81KD604 Bed · 2 Bath · Semi-D€350,000
32 The Moorings, Skibbereen, Ashton, Co. Cork, P81T6234 Bed · 3 Bath · Semi-D
€350,000
Cúrach Bán, 5 Tragumna Holiday Homes, Skibbereen, Co. Cork, P81WF213 Bed · 3 Bath · Terrace€375,000
Coronea, Skibbereen, Skibbereen, Co. Cork, P81FX474 Bed · 2 Bath · Bungalow€395,000
Glendart, Coronea, Skibbereen, Co. Cork, P81WA263 Bed · 1 Bath · Bungalow€395,000
Ard Na Smol, Toe Head, Castletownshend, Co. Cork, P81Y4072 Bed · 1 Bath · Detached€450,000
The Old Court Inn, Oldcourt, Baltimore, Co. Cork, P81VR6611 Bed · 7 Bath · Detached€475,000
Jolly Roger, Farranacoush, Sherkin Island, Sherkin Island, Co. Cork, P81Y6354 Bed · 3 Bath · Detached€475,000
Palm Grove, Bunlick, Skibbereen, Co. Cork, P81P9514 Bed · 2 Bath · House€495,000
Moorhen, 19 Mariner's Cove, Baltimore, Co. Cork, P81YC924 Bed · 3 Bath · End of Terrace
Daft ID: 16531097