Turbotstown, Coole, Co. Westmeath
€39,000
- Selling Type:By Private Treaty
About Coole Turbotstown
Highlights
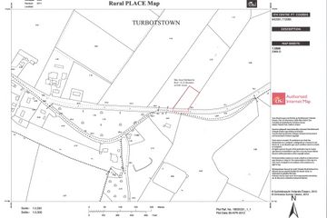
- Large c.0.82, Regular Shaped Site
- Located beside Coole and 5 minutes drive to Castlepollard
- Located in a Picturesque area with views of Countryside to the rear
- Being sold subject to Planning Permission
Description
James L. Murtagh Auctioneers are delighted to present this residential c.0.82 Acre site at Turbotstown, Coole to the market. The site is regular in shape, has excellent sight lines and is located in a picturesque area. To the rear of the site are pleasant views of the expanse of lushes pastures with native trees inter-dispersed along the fields. Located just beside Coole village and less than 5 minutes drive from Castlepollard which provides both essential and social amenities including primary and secondary schools . This site would be ideal for building a residence subject to the necessary planning consent. Directions: From Castlepollard, take the R395 toward Coole, travel on that road for approximately 4.5km and the site is on the LHS clearly identified by our JLM Salesboard.
The local area of Coole Turbotstown
Sold properties in this area
Stay informed with market trends
Local schools and transport

Learn more about what this area has to offer.
School Name | Distance | Pupils | |||
|---|---|---|---|---|---|
| School Name | Scoil Mhuire Coole | Distance | 1.3km | Pupils | 38 |
| School Name | Castlepollard Paroc.n S | Distance | 3.9km | Pupils | 25 |
| School Name | Castlepollard Mixed National School | Distance | 4.1km | Pupils | 163 |
School Name | Distance | Pupils | |||
|---|---|---|---|---|---|
| School Name | Castletown National School | Distance | 6.5km | Pupils | 14 |
| School Name | Whitehall National School | Distance | 6.9km | Pupils | 84 |
| School Name | Lismacaffrey National School | Distance | 7.2km | Pupils | 27 |
| School Name | St Cremins National School | Distance | 8.7km | Pupils | 215 |
| School Name | Fore National School | Distance | 8.9km | Pupils | 97 |
| School Name | Finea National School | Distance | 9.1km | Pupils | 18 |
| School Name | Sacred Heart School | Distance | 9.3km | Pupils | 40 |
School Name | Distance | Pupils | |||
|---|---|---|---|---|---|
| School Name | Castlepollard Community College | Distance | 4.0km | Pupils | 334 |
| School Name | Wilson's Hospital School | Distance | 10.3km | Pupils | 430 |
| School Name | Cnoc Mhuire | Distance | 12.9km | Pupils | 547 |
School Name | Distance | Pupils | |||
|---|---|---|---|---|---|
| School Name | Ardscoil Phadraig | Distance | 13.4km | Pupils | 370 |
| School Name | St Oliver Post Primary | Distance | 15.1km | Pupils | 641 |
| School Name | St. Finian's College | Distance | 17.5km | Pupils | 877 |
| School Name | Loreto College | Distance | 18.6km | Pupils | 839 |
| School Name | Colaiste Mhuire, | Distance | 18.8km | Pupils | 835 |
| School Name | Mullingar Community College | Distance | 19.2km | Pupils | 375 |
| School Name | St Clare's College | Distance | 21.4km | Pupils | 612 |
Type | Distance | Stop | Route | Destination | Provider | ||||||
|---|---|---|---|---|---|---|---|---|---|---|---|
| Type | Bus | Distance | 1.3km | Stop | Coole | Route | 111a | Destination | Athboy | Provider | Bus Éireann |
| Type | Bus | Distance | 4.0km | Stop | Castlepollard | Route | 818 | Destination | Castlepollard | Provider | Tfi Local Link Longford Westmeath Roscommon |
| Type | Bus | Distance | 4.0km | Stop | Castlepollard | Route | 111a | Destination | Cavan | Provider | Bus Éireann |
Type | Distance | Stop | Route | Destination | Provider | ||||||
|---|---|---|---|---|---|---|---|---|---|---|---|
| Type | Bus | Distance | 8.4km | Stop | Multyfarnham | Route | 816 | Destination | Longford | Provider | Tfi Local Link Longford Westmeath Roscommon |
| Type | Bus | Distance | 9.9km | Stop | Abbeylara | Route | 111a | Destination | Delvin | Provider | Bus Éireann |
| Type | Bus | Distance | 10.7km | Stop | Collinstown | Route | 818 | Destination | Mullingar | Provider | Tfi Local Link Longford Westmeath Roscommon |
| Type | Bus | Distance | 10.7km | Stop | Collinstown | Route | 111a | Destination | Delvin | Provider | Bus Éireann |
| Type | Bus | Distance | 10.8km | Stop | Ballinalack | Route | 23 | Destination | Dublin | Provider | Bus Éireann |
| Type | Bus | Distance | 10.8km | Stop | Ballinalack | Route | 22 | Destination | Dublin Airport | Provider | Bus Éireann |
| Type | Bus | Distance | 10.8km | Stop | Ballinalack | Route | 816 | Destination | Mullingar | Provider | Tfi Local Link Longford Westmeath Roscommon |
Your Mortgage and Insurance Tools
Check off the steps to purchase your new home
Use our Buying Checklist to guide you through the whole home-buying journey.
Budget calculator
Calculate how much you can borrow and what you'll need to save
Ad performance
- Date listed10/02/2026
- Views1,512
- Potential views if upgraded to an Advantage Ad2,465
Properties similar to Coole Turbotstown
€60,000
Simonstown, Coole, Co. WestmeathSite€65,000
Approx 1.5 Acre Site, Curry, Castlepollard, Co. WestmeathSite€220,000
4 Castle Heights, Castlepollard, Castlepollard, Co. Westmeath, N91E0303 Bed · 2 Bath · Semi-D€265,000
2 Glen View, Castlepollard, Castlepollard, Co. Westmeath, N91AW742 Bed · 1 Bath · Semi-D
€299,950
30 Lir Park, Castlepollard, Castlepollard, Co. Westmeath, N91V1D93 Bed · 3 Bath · DetachedAMV: €350,000
Church Street, Castlepollard, Co. WestmeathSite€395,000
3 Bed Semi-Detached, Kingscourt, Castlepollard, Co. Westmeath3 Bed · 2 Bath · Semi-D€399,950
4 Bed Terraced, Kingscourt, Castlepollard, Co. Westmeath4 Bed · 3 Bath · Terrace
Daft ID: 16493510