c.0.2 Acre Site, Old Post Office Road, Ringaskiddy, Ringaskiddy, Co. Cork
€170,000
- Selling Type:By Private Treaty
About this property
Description
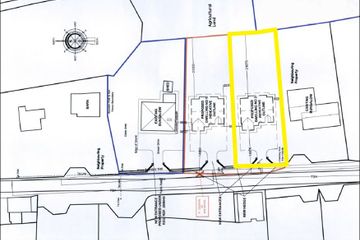
For Sale by Private Treaty. Dennehy Auctioneers are delighted to offer excellent opportunity to purchase 0.2 acres site with recently expired outline planning (Application Reg. Ref. No. 20/06384) and indicative drawings for the construction of a c.1,800 sq. ft dormer bungalow. This easy to construct on, level site has all services (mains water, mains sewer and electricity) adjacent. Situated on a quiet residential byroad adjacent to Ringaskiddy village with easy access to city bound routes. Site can be sold subject to full planning permission being attained by proposed purchaser. Disclaimer: All reasonable offers will be submitted to the vendor for consideration. These particulars have been prepared with care, but their accuracy is not guaranteed they do not form part of any contract and are not to be used in any legal action. Intending Purchasers/Lessees must satisfy themselves or otherwise of any statements contained herein and no warranty is implied in respect of the property described. The particulars are issued on the understanding that all negotiations are conducted through this firm. All measurements are approximate and photographs provided for guidance only.
The local area
The local area
Sold properties in this area
Stay informed with market trends
Local schools and transport

Learn more about what this area has to offer.
School Name | Distance | Pupils | |||
|---|---|---|---|---|---|
| School Name | Ringskiddy National School | Distance | 870m | Pupils | 58 |
| School Name | Shanbally National School | Distance | 1.5km | Pupils | 206 |
| School Name | Scoil Barra Naofa | Distance | 2.2km | Pupils | 202 |
School Name | Distance | Pupils | |||
|---|---|---|---|---|---|
| School Name | Bunscoil Rinn An Chabhlaigh | Distance | 2.6km | Pupils | 671 |
| School Name | Crosshaven Boys National School | Distance | 3.6km | Pupils | 224 |
| School Name | Carrigaline Educate Together National School | Distance | 3.6km | Pupils | 442 |
| School Name | S N Bun An Tsabhairne | Distance | 3.8km | Pupils | 191 |
| School Name | St Mary's Church Of Ireland National School | Distance | 3.8km | Pupils | 209 |
| School Name | St Marys National School | Distance | 3.8km | Pupils | 259 |
| School Name | Carrigaline Community Special School | Distance | 3.8km | Pupils | 45 |
School Name | Distance | Pupils | |||
|---|---|---|---|---|---|
| School Name | Gaelcholáiste Charraig Ui Leighin | Distance | 3.9km | Pupils | 283 |
| School Name | Coláiste Muire- Réalt Na Mara | Distance | 3.9km | Pupils | 518 |
| School Name | Coláiste Muire | Distance | 3.9km | Pupils | 704 |
School Name | Distance | Pupils | |||
|---|---|---|---|---|---|
| School Name | Carrigaline Community School | Distance | 3.9km | Pupils | 1060 |
| School Name | St Peter's Community School | Distance | 4.1km | Pupils | 353 |
| School Name | Edmund Rice College | Distance | 4.2km | Pupils | 577 |
| School Name | Carrignafoy Community College | Distance | 4.3km | Pupils | 356 |
| School Name | St Francis Capuchin College | Distance | 5.4km | Pupils | 777 |
| School Name | Nagle Community College | Distance | 8.4km | Pupils | 297 |
| School Name | Cork Educate Together Secondary School | Distance | 8.5km | Pupils | 409 |
Type | Distance | Stop | Route | Destination | Provider | ||||||
|---|---|---|---|---|---|---|---|---|---|---|---|
| Type | Bus | Distance | 280m | Stop | Barnahely Cemetery | Route | 223 | Destination | Southside Orbital | Provider | Bus Éireann |
| Type | Bus | Distance | 530m | Stop | Ringaskiddy | Route | 225l | Destination | Carrigaline (hse) | Provider | Bus Éireann |
| Type | Bus | Distance | 530m | Stop | Ringaskiddy | Route | 223x | Destination | South Mall | Provider | Bus Éireann |
Type | Distance | Stop | Route | Destination | Provider | ||||||
|---|---|---|---|---|---|---|---|---|---|---|---|
| Type | Bus | Distance | 710m | Stop | Ringaskiddy | Route | 225 | Destination | Haulbowline (nmci) | Provider | Bus Éireann |
| Type | Bus | Distance | 710m | Stop | Ringaskiddy | Route | 223 | Destination | Haulbowline | Provider | Bus Éireann |
| Type | Bus | Distance | 740m | Stop | Pfizer Ringaskiddy | Route | 223x | Destination | South Mall | Provider | Bus Éireann |
| Type | Bus | Distance | 740m | Stop | Pfizer Ringaskiddy | Route | 225 | Destination | Kent Train Station | Provider | Bus Éireann |
| Type | Bus | Distance | 740m | Stop | Pfizer Ringaskiddy | Route | 225l | Destination | Carrigaline (hse) | Provider | Bus Éireann |
| Type | Bus | Distance | 840m | Stop | Raheens East | Route | 223 | Destination | South Mall | Provider | Bus Éireann |
| Type | Bus | Distance | 900m | Stop | Cork Ferry Terminal | Route | 223 | Destination | Southside Orbital | Provider | Bus Éireann |
Your Mortgage and Insurance Tools
Check off the steps to purchase your new home
Use our Buying Checklist to guide you through the whole home-buying journey.
Budget calculator
Calculate how much you can borrow and what you'll need to save
Ad performance
- Date listed30/01/2026
- Views1,363
- Potential views if upgraded to an Advantage Ad2,222
Similar properties
€165,000
The Old Coach House, Castle Road, Monkstown, Monkstown, Co. CorkSite€250,000
2 Island View, Main Street, Ringaskiddy, Co. Cork, P43CH523 Bed · 2 Bath · Terrace€360,000
10 Ferryview, Ringaskiddy, Ringaskiddy, Co. Cork, P43VK543 Bed · 3 Bath · Semi-D€490,000
Portview, Main Street, Ringaskiddy, Co. Cork, P43CA364 Bed · 3 Bath · Detached
Daft ID: 16486081