Fortane More, O'Callaghans Mills, Co. Clare
€60,000
- Selling Type:By Private Treaty
About this property
Highlights
- 0.50 acre site
- Beautiful Countryside Location
- Just 4km from the village of Tulla
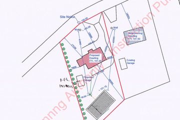
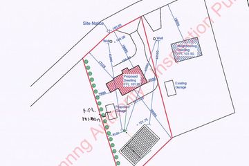
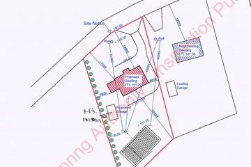
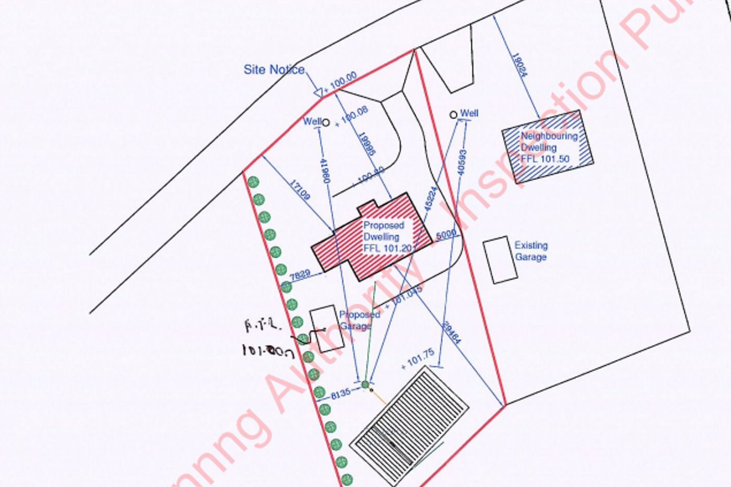
- Planning Permission Granted to vendor for 2 storey house in November 2022
- Folio CE2064F
Description
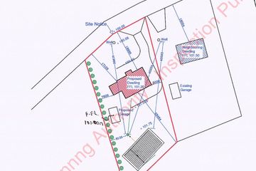
Arthur and Lees Auctioneers are delighted to present for sale this 0.50 acre site at Fortane More, O'Callaghan's Mills, Co. Clare. The site is within a 4km drive of the village of Tulla. Planning Permission was granted to the vendor for the construction of a 250 sq.m two storey house in November 2022. Planning Reference P22/865. We understand from the vendor that this site at Fortanemore is within an area categorised as OPEN COUNTRTYSIDE in the Clare County Development Plan 2023 - 2029, in this instance as the site is not located in an area of high development pressure the local area restrictions rule may not apply. Further information and clarification on this can be obtained from Clare County Council. We would encourage all interested parties to take advice on planning prior to making any bid. Directions - From the village of Tulla take the Scariff road and take a left turn at the junction signposted for Beckman Coulter. As you approach the factory take the turn to the right. Proceed until you reach a Y Junction and keep to the right. The site is approx. 200 mts on the right next door to Eircode V95XPXO. There is an ARTHUR AND LEES FOR SALE sign on the site. For Further Details including a copy of the current planning permission and drawings please contact Tomas Lees.
The local area
The local area
Sold properties in this area
Stay informed with market trends
Local schools and transport

Learn more about what this area has to offer.
School Name | Distance | Pupils | |||
|---|---|---|---|---|---|
| School Name | O'Callaghans Mills National School | Distance | 4.7km | Pupils | 41 |
| School Name | St Mochullas National School | Distance | 4.9km | Pupils | 256 |
| School Name | Feakle National School | Distance | 5.6km | Pupils | 58 |
School Name | Distance | Pupils | |||
|---|---|---|---|---|---|
| School Name | Bodyke National School | Distance | 6.4km | Pupils | 30 |
| School Name | Kilkishen National School | Distance | 9.1km | Pupils | 136 |
| School Name | Tuamgraney National School | Distance | 10.3km | Pupils | 46 |
| School Name | Clooney National School | Distance | 11.4km | Pupils | 51 |
| School Name | Scariff National School | Distance | 11.5km | Pupils | 149 |
| School Name | Raheen Wood Community National School | Distance | 11.6km | Pupils | 97 |
| School Name | Broadford & Kilbane National School | Distance | 12.1km | Pupils | 136 |
School Name | Distance | Pupils | |||
|---|---|---|---|---|---|
| School Name | St. Joseph's Secondary School Tulla | Distance | 4.9km | Pupils | 728 |
| School Name | Scariff Community College | Distance | 10.8km | Pupils | 458 |
| School Name | St Anne's Community College | Distance | 19.0km | Pupils | 719 |
School Name | Distance | Pupils | |||
|---|---|---|---|---|---|
| School Name | Rice College | Distance | 19.6km | Pupils | 700 |
| School Name | Colaiste Muire | Distance | 20.0km | Pupils | 999 |
| School Name | Ennis Community College | Distance | 20.2km | Pupils | 612 |
| School Name | St Flannan's College | Distance | 20.2km | Pupils | 1273 |
| School Name | Gort Community School | Distance | 21.6km | Pupils | 1018 |
| School Name | St Caimin's Community School | Distance | 22.5km | Pupils | 771 |
| School Name | St Munchin's College | Distance | 22.7km | Pupils | 662 |
Type | Distance | Stop | Route | Destination | Provider | ||||||
|---|---|---|---|---|---|---|---|---|---|---|---|
| Type | Bus | Distance | 4.3km | Stop | O'Callaghans Mills | Route | 318 | Destination | Limerick Arthur's Quay | Provider | Tfi Local Link Limerick Clare |
| Type | Bus | Distance | 4.5km | Stop | Tulla | Route | 344 | Destination | Ennis | Provider | Tfi Local Link Limerick Clare |
| Type | Bus | Distance | 4.5km | Stop | Tulla | Route | 318 | Destination | Limerick Arthur's Quay | Provider | Tfi Local Link Limerick Clare |
Type | Distance | Stop | Route | Destination | Provider | ||||||
|---|---|---|---|---|---|---|---|---|---|---|---|
| Type | Bus | Distance | 4.5km | Stop | Tulla | Route | 342 | Destination | Flagmount | Provider | Tfi Local Link Limerick Clare |
| Type | Bus | Distance | 4.7km | Stop | Saint Patrick's Church | Route | 318 | Destination | Ennis | Provider | Tfi Local Link Limerick Clare |
| Type | Bus | Distance | 5.0km | Stop | Tulla West | Route | 318 | Destination | Ennis | Provider | Tfi Local Link Limerick Clare |
| Type | Bus | Distance | 5.0km | Stop | Tulla West | Route | 344 | Destination | Whitegate | Provider | Tfi Local Link Limerick Clare |
| Type | Bus | Distance | 5.0km | Stop | Tulla West | Route | 342 | Destination | Flagmount | Provider | Tfi Local Link Limerick Clare |
| Type | Bus | Distance | 5.9km | Stop | Feakle | Route | 342 | Destination | Flagmount | Provider | Tfi Local Link Limerick Clare |
| Type | Bus | Distance | 5.9km | Stop | Digital Hub | Route | 342 | Destination | Flagmount | Provider | Tfi Local Link Limerick Clare |
Your Mortgage and Insurance Tools
Check off the steps to purchase your new home
Use our Buying Checklist to guide you through the whole home-buying journey.
Budget calculator
Calculate how much you can borrow and what you'll need to save
Ad performance
- Date listed22/10/2025
- Views2,284
- Potential views if upgraded to an Advantage Ad3,723
Similar properties
€110,000
Rannagh, Tulla, Co. ClareSite€185,000
Clooncool, O'Callaghan'S Mills, Broadford, Co. Clare, V94HTW13 Bed · 1 Bath · Detached€290,000
Silvergrove, Bodyke, O'Callaghans Mills, Co. Clare, V94Y0XD4 Bed · 2 Bath · Detached€300,000
An Teach China, Main Street, Tulla, O'Callaghans Mills, Co. Clare, V95HK372 Bed · 1 Bath · Apartment
Daft ID: 123885246
