Kilnarovanagh, Toames, Macroom, Co. Cork
Price on Application
- Selling Type:By Private Treaty
About this property
Description
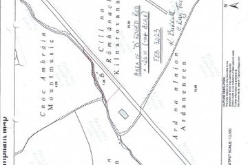
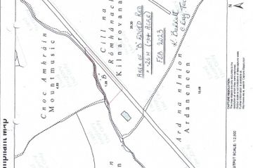
Cronin Naughton Auctioneers are pleased to offer this C. 0.64 acre site for sale just c.2km from Teerelton village. The site is level and easily accessible. The site is being sold subject to planning permission and is zoned under the Rural Area Under Strong Urban Influence Cork County Council development plan 2022 meaning persons will have to meet the criteria such as having a genuine housing need and are or have lived in the area for over 7 years. Teerelton is a rural village with amenities such as a National School, The Five Roads Post office, Grocery shop and Pub , Dairygold Co-op store, church and garda station. The Warrenscourt Forest Recreational area and The Gereagh Nature Reserve are in close proximity to the site. The site is located c. 10 minutes from Macroom town and c. 30 minutes west of Cork city. GPS: 51.851971, -8.970471 Nearest Eircode P12Y927
The local area
The local area
Sold properties in this area
Stay informed with market trends
Local schools and transport

Learn more about what this area has to offer.
School Name | Distance | Pupils | |||
|---|---|---|---|---|---|
| School Name | Tirelton National School | Distance | 2.1km | Pupils | 77 |
| School Name | Dromleigh National School | Distance | 5.1km | Pupils | 44 |
| School Name | St Joseph's National School Macroom | Distance | 5.8km | Pupils | 308 |
School Name | Distance | Pupils | |||
|---|---|---|---|---|---|
| School Name | St Colman's Boys National School | Distance | 5.8km | Pupils | 192 |
| School Name | Kilmurry National School | Distance | 6.2km | Pupils | 164 |
| School Name | Kilbarry National School | Distance | 6.3km | Pupils | 38 |
| School Name | Coppeen National School | Distance | 6.7km | Pupils | 101 |
| School Name | Canovee National School | Distance | 8.9km | Pupils | 153 |
| School Name | Clondrohid National School | Distance | 9.2km | Pupils | 269 |
| School Name | Scoil Lachtaín Naofa | Distance | 9.7km | Pupils | 83 |
School Name | Distance | Pupils | |||
|---|---|---|---|---|---|
| School Name | St Mary's Secondary School | Distance | 5.8km | Pupils | 420 |
| School Name | Mcegan College | Distance | 5.9km | Pupils | 272 |
| School Name | De La Salle College | Distance | 6.1km | Pupils | 423 |
School Name | Distance | Pupils | |||
|---|---|---|---|---|---|
| School Name | Coachford College | Distance | 13.9km | Pupils | 851 |
| School Name | Colaiste Ghobnatan | Distance | 16.0km | Pupils | 224 |
| School Name | Scoil Mhuire | Distance | 18.1km | Pupils | 106 |
| School Name | Maria Immaculata Community College | Distance | 18.2km | Pupils | 639 |
| School Name | St. Brogan's College | Distance | 19.4km | Pupils | 861 |
| School Name | Hamilton High School | Distance | 19.5km | Pupils | 429 |
| School Name | Bandon Grammar School | Distance | 20.1km | Pupils | 717 |
Type | Distance | Stop | Route | Destination | Provider | ||||||
|---|---|---|---|---|---|---|---|---|---|---|---|
| Type | Bus | Distance | 5.9km | Stop | Macroom | Route | 233 | Destination | Cork | Provider | Bus Éireann |
| Type | Bus | Distance | 5.9km | Stop | Macroom | Route | 40 | Destination | Cork | Provider | Bus Éireann |
| Type | Bus | Distance | 5.9km | Stop | Macroom | Route | 257 | Destination | Killarney | Provider | Bus Éireann |
Type | Distance | Stop | Route | Destination | Provider | ||||||
|---|---|---|---|---|---|---|---|---|---|---|---|
| Type | Bus | Distance | 5.9km | Stop | Macroom | Route | 257 | Destination | Macroom | Provider | Bus Éireann |
| Type | Bus | Distance | 5.9km | Stop | Macroom | Route | 40 | Destination | Tralee | Provider | Bus Éireann |
| Type | Bus | Distance | 5.9km | Stop | Macroom | Route | 233 | Destination | Macroom | Provider | Bus Éireann |
| Type | Bus | Distance | 5.9km | Stop | Macroom | Route | 257 | Destination | Macroom Via Rathmore | Provider | Bus Éireann |
| Type | Bus | Distance | 5.9km | Stop | Macroom | Route | 233 | Destination | Ballingeary | Provider | Bus Éireann |
| Type | Bus | Distance | 6.2km | Stop | Kilmurry | Route | 233 | Destination | Ballingeary | Provider | Bus Éireann |
| Type | Bus | Distance | 6.2km | Stop | Kilmurry | Route | 233 | Destination | Crookstown | Provider | Bus Éireann |
Your Mortgage and Insurance Tools
Check off the steps to purchase your new home
Use our Buying Checklist to guide you through the whole home-buying journey.
Budget calculator
Calculate how much you can borrow and what you'll need to save
Statistics
- 10,741Property Views
- 17,508
Potential views if upgraded to a Daft Advantage Ad
Learn How
Similar properties
€75,000
16 New Street, Macroom, Macroom, Co. Cork, P12K1233 Bed · 1 Bath · Terrace€175,000
63 Main Street, Macroom, Co. Cork, P12PY283 Bed · 2 Bath · Townhouse€185,000
49 Main Street, Macroom, Macroom, Co. Cork, P12X4002 Bed · 1 Bath · Townhouse€200,000
7 Lower Massytown, Macroom, Macroom, Co. Cork, P12Y9814 Bed · 3 Bath · Townhouse
€310,000
5 The Walk, Lios Na Fea, Macroom, Co. Cork, P12YW933 Bed · 3 Bath · Semi-D€320,000
9 The Walk, Lios Na Fea, Macroom, Co. Cork, P12T2563 Bed · 3 Bath · Semi-D€390,000
49 Carrigbeg, Meadowlands, Macroom, Co. Cork, P12EE034 Bed · 3 Bath · Semi-D€399,000
House Type F, Rás an Mhuilinn, Rás an Mhuilinn, Gurteenroe, Macroom, Co. Cork3 Bed · 3 Bath · Semi-D€399,000
House Type E, Rás an Mhuilinn, Rás an Mhuilinn, Gurteenroe, Macroom, Co. Cork3 Bed · 3 Bath · Semi-D€445,000
House Type Q3, Rás an Mhuilinn, Rás an Mhuilinn, Gurteenroe, Macroom, Co. Cork4 Bed · 4 Bath · End of Terrace€475,000
House Type A, Rás an Mhuilinn, Rás an Mhuilinn, Gurteenroe, Macroom, Co. Cork4 Bed · 3 Bath · Semi-D€500,000
House Type B1, Rás an Mhuilinn, Rás an Mhuilinn, Gurteenroe, Macroom, Co. Cork5 Bed · 4 Bath · Semi-D
Daft ID: 120346744