Site at Knockavoreen, Kishkeam, Co. Cork
€60,000
- Selling Type:By Private Treaty
About this property
Highlights
- Planning permission granted in 2023
- Planning Ref No: 23/04335
- Detached Dwelling extending to c. 212 Sq.m
- Elevated Site overlooking Kishkeam Village
- Close to Castleisland/ Mallow
Description
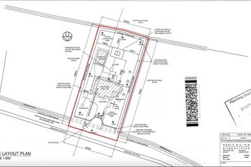
Elevated site extending to c. 0.23 hectares (0.57 Acres) overlooking Kishkeam Village. This site has the advantage of planning, granted in 2023 for a detached dwelling house (c. 212 Sq.m) with secondary effluent system and polishing filter, domestic garage, entrance and roadside boundary along with all associated services and site works. Contained within folio CK17632F Planning Ref No: 23/04335 Google Co-Ordinates: 52.173757, -9.163044 Guide Price: €60,000 For more information or an appointment to view, call David on 087-7958386 DISCLAIMER: David O’ Driscoll & Co Ltd for themselves and for the vendors or lessors of the property whose agents they are, give notice that: (i) The particulars are set out as a general outline for the guidance of intending purchasers or lessees, and do not constitute part of, an offer or contract. (ii) All descriptions, dimensions, references to condition and necessary permissions for use and occupation, and other details are given in good faith and are believed to be correct, but any intending purchasers or tenants should not rely on them as statements or representations of fact but must satisfy themselves by inspection or otherwise as to the correctness of each of them. (iii) No person in the employment of David O’ Driscoll & Co Ltd has any authority to make or give representation or warranty whatever in relation to this property.
The local area
The local area
Sold properties in this area
Stay informed with market trends
Local schools and transport

Learn more about what this area has to offer.
School Name | Distance | Pupils | |||
|---|---|---|---|---|---|
| School Name | Kiskeam National School | Distance | 300m | Pupils | 73 |
| School Name | Ballydesmond National School | Distance | 5.1km | Pupils | 104 |
| School Name | Sn Cnoc Na Groighe | Distance | 6.5km | Pupils | 77 |
School Name | Distance | Pupils | |||
|---|---|---|---|---|---|
| School Name | Boherbue National School | Distance | 6.5km | Pupils | 200 |
| School Name | Cullen National School | Distance | 8.1km | Pupils | 65 |
| School Name | Sn Gniomh Go Leith B | Distance | 9.7km | Pupils | 133 |
| School Name | Derrinagree National School | Distance | 10.3km | Pupils | 67 |
| School Name | Knockaclarig National School | Distance | 11.9km | Pupils | 45 |
| School Name | Holy Family National School | Distance | 12.3km | Pupils | 240 |
| School Name | Scoil Na Trionoide | Distance | 12.6km | Pupils | 0 |
School Name | Distance | Pupils | |||
|---|---|---|---|---|---|
| School Name | Boherbue Comprehensive School | Distance | 7.1km | Pupils | 528 |
| School Name | Scoil Phobail Sliabh Luachra | Distance | 12.0km | Pupils | 402 |
| School Name | Millstreet Community School | Distance | 14.0km | Pupils | 370 |
School Name | Distance | Pupils | |||
|---|---|---|---|---|---|
| School Name | Scoil Mhuire | Distance | 17.1km | Pupils | 299 |
| School Name | Coláiste Treasa | Distance | 17.8km | Pupils | 627 |
| School Name | Castleisland Community College | Distance | 20.9km | Pupils | 422 |
| School Name | St. Patrick's Secondary School | Distance | 21.2km | Pupils | 187 |
| School Name | Presentation Secondary School | Distance | 21.3km | Pupils | 242 |
| School Name | Coláiste Íde Agus Iosef | Distance | 25.3km | Pupils | 692 |
| School Name | Hazelwood College | Distance | 25.8km | Pupils | 563 |
Type | Distance | Stop | Route | Destination | Provider | ||||||
|---|---|---|---|---|---|---|---|---|---|---|---|
| Type | Rail | Distance | 10.6km | Stop | Rathmore | Route | Rail | Destination | Tralee Casement Station | Provider | Irish Rail |
| Type | Rail | Distance | 10.6km | Stop | Rathmore | Route | Rail | Destination | Mallow | Provider | Irish Rail |
| Type | Rail | Distance | 10.6km | Stop | Rathmore | Route | Rail | Destination | Dublin Heuston | Provider | Irish Rail |
Type | Distance | Stop | Route | Destination | Provider | ||||||
|---|---|---|---|---|---|---|---|---|---|---|---|
| Type | Rail | Distance | 10.6km | Stop | Rathmore | Route | Rail | Destination | Cork (kent) | Provider | Irish Rail |
| Type | Bus | Distance | 10.7km | Stop | Rathmore | Route | 257 | Destination | Killarney | Provider | Bus Éireann |
| Type | Bus | Distance | 10.7km | Stop | Rathmore | Route | 257 | Destination | Macroom | Provider | Bus Éireann |
| Type | Bus | Distance | 10.7km | Stop | Rathmore | Route | 257 | Destination | Macroom Via Rathmore | Provider | Bus Éireann |
| Type | Bus | Distance | 10.7km | Stop | Rathmore | Route | 257 | Destination | Millstreet | Provider | Bus Éireann |
| Type | Bus | Distance | 12.1km | Stop | Rathmore Church | Route | 257 | Destination | Macroom Via Rathmore | Provider | Bus Éireann |
| Type | Bus | Distance | 12.1km | Stop | Rathmore Church | Route | 257 | Destination | Millstreet | Provider | Bus Éireann |
Your Mortgage and Insurance Tools
Check off the steps to purchase your new home
Use our Buying Checklist to guide you through the whole home-buying journey.
Budget calculator
Calculate how much you can borrow and what you'll need to save
Statistics
- 10/11/2025Entered
- 1,215Property Views
- 1,980
Potential views if upgraded to a Daft Advantage Ad
Learn How
Daft ID: 123014685
