Tarmons East, Moyvane, Co. Kerry, Listowel, Co. Kerry
€40,000
- Selling Type:By Private Treaty
About this property
Highlights
- Accessible Rural Location
- Sheltered and Scenic Site
- Good Road Frontage
- Reseeded Land with Grass Cover
- Hardcore-Surfaced Entrance
Description
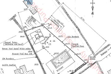
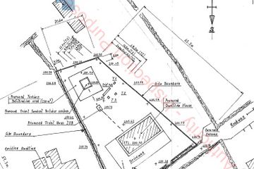
Horgan Properties are delighted to bring to market this development site with outline planning permission. It is a sheltered and well-positioned site located on a quiet cul-de-sac just two miles south of Tarbert village, a short distance off the N69. The outline planning permission (Ref: 2310) is valid until 4/7/2026 and includes approval for construction of a detached dwelling house, connection to the public mains water supply, installation of a Tricel Nova wastewater treatment pumped unit and a Sandcel tertiary treatment system, and all associated site works necessary for the development. Set in a peaceful rural setting, the site is bordered by mature trees and enjoys excellent road frontage. The land has been reseeded, providing strong grass coverage, and features a hardcore-surfaced entrance, offering easy access and a head start for development. This is an ideal opportunity for those looking to build a home in a quiet yet accessible location, with services and planning in place. For full planning details, conditions, and a site map, please contact Horgan Properties. Services : Mains Water Connection Directions : From Moyvane village in north Kerry travel north for approximately two miles. There is a 'For Sale' directional sign pointing right. The site is located a short distance away on the left.
The local area
The local area
Sold properties in this area
Stay informed with market trends
Local schools and transport

Learn more about what this area has to offer.
School Name | Distance | Pupils | |||
|---|---|---|---|---|---|
| School Name | Gaelscoil Lios Tuathail | Distance | 1.2km | Pupils | 141 |
| School Name | Scoil Réalta Na Maidine | Distance | 1.4km | Pupils | 179 |
| School Name | Nano Nagle N Sch | Distance | 2.2km | Pupils | 89 |
School Name | Distance | Pupils | |||
|---|---|---|---|---|---|
| School Name | Presentation Primary Listowel | Distance | 2.2km | Pupils | 194 |
| School Name | Coolard Mxd National School | Distance | 4.9km | Pupils | 90 |
| School Name | Killocrim National School | Distance | 6.2km | Pupils | 99 |
| School Name | Scoil Chorp Chríost | Distance | 6.5km | Pupils | 95 |
| School Name | Dromclough National School | Distance | 6.7km | Pupils | 190 |
| School Name | Duagh National School | Distance | 7.2km | Pupils | 174 |
| School Name | Murhur National School | Distance | 8.1km | Pupils | 74 |
School Name | Distance | Pupils | |||
|---|---|---|---|---|---|
| School Name | St Michael's College | Distance | 1.1km | Pupils | 327 |
| School Name | Coláiste Na Ríochta | Distance | 1.2km | Pupils | 174 |
| School Name | Presentation Secondary School | Distance | 2.1km | Pupils | 344 |
School Name | Distance | Pupils | |||
|---|---|---|---|---|---|
| School Name | Coláiste Íde Agus Iosef | Distance | 13.9km | Pupils | 692 |
| School Name | Tarbert Comprehensive School | Distance | 14.3km | Pupils | 543 |
| School Name | St. Joseph's Secondary School | Distance | 15.7km | Pupils | 360 |
| School Name | Causeway Comprehensive School | Distance | 18.9km | Pupils | 626 |
| School Name | Kilrush Community School | Distance | 20.7km | Pupils | 341 |
| School Name | St. Patrick's Secondary School | Distance | 24.6km | Pupils | 187 |
| School Name | Presentation Secondary School | Distance | 25.1km | Pupils | 242 |
Type | Distance | Stop | Route | Destination | Provider | ||||||
|---|---|---|---|---|---|---|---|---|---|---|---|
| Type | Bus | Distance | 1.8km | Stop | Listowel | Route | 13 | Destination | Tralee | Provider | Bus Éireann |
| Type | Bus | Distance | 1.8km | Stop | Listowel | Route | 272 | Destination | Tralee | Provider | Bus Éireann |
| Type | Bus | Distance | 1.8km | Stop | Listowel | Route | 13 | Destination | Limerick Bus Station | Provider | Bus Éireann |
Type | Distance | Stop | Route | Destination | Provider | ||||||
|---|---|---|---|---|---|---|---|---|---|---|---|
| Type | Bus | Distance | 1.8km | Stop | Listowel | Route | 272 | Destination | Ballybunion | Provider | Bus Éireann |
| Type | Bus | Distance | 1.8km | Stop | Listowel | Route | 314 | Destination | Ballybunion | Provider | Bus Éireann |
| Type | Bus | Distance | 1.8km | Stop | Listowel | Route | 314 | Destination | Limerick Bus Station | Provider | Bus Éireann |
| Type | Bus | Distance | 5.9km | Stop | Finuge | Route | 272 | Destination | Ballybunion | Provider | Bus Éireann |
| Type | Bus | Distance | 6.0km | Stop | Finuge | Route | 272 | Destination | Tralee | Provider | Bus Éireann |
| Type | Bus | Distance | 6.8km | Stop | Duagh | Route | 13 | Destination | Tralee | Provider | Bus Éireann |
| Type | Bus | Distance | 6.8km | Stop | Duagh | Route | 13 | Destination | Limerick Bus Station | Provider | Bus Éireann |
Your Mortgage and Insurance Tools
Check off the steps to purchase your new home
Use our Buying Checklist to guide you through the whole home-buying journey.
Budget calculator
Calculate how much you can borrow and what you'll need to save
Statistics
- 21/10/2025Entered
- 9,513Property Views
- 15,506
Potential views if upgraded to a Daft Advantage Ad
Learn How
Similar properties
AMV: €40,000
Dromaddamore, Lyre, Listowel, Co. KerrySite€70,000
Derra West, Listowel, Co. KerrySite€75,000
Bolton's Cross, Listowel, Co. Kerry, V31VH21SiteAMV: €99,000
55 Charles Street, Listowel, Listowel, Co. Kerry, V31FK852 Bed · 1 Bath · Terrace
€119,000
Site 1, Kenny Heights, Cahirdown, Listowel, Co KerrySite€125,000
Site at 1 Lartigue Village, Clieveragh, Listowel, Co. KerrySite€190,000
8 Charles Street, Listowel, Co. Kerry, V31DY023 Bed · 1 Bath · Bungalow€195,000
21 Bridge Road, Listowel, Co. Kerry, V31FW352 Bed · 1 Bath · Apartment€195,000
23A Bridge Road, Listowel, Co. Kerry, V31FY002 Bed · 1 Bath · Apartment€195,000
3 Colbert Street, Listowel, Co. Kerry, V31V2645 Bed · 2 Bath · Detached€199,000
41 Slí Na Spéire, Clieveragh, Listowel, Co. Kerry, V31VX243 Bed · 3 Bath · Semi-D€199,000
72 Ballygologue Park, Listowel, Co. Kerry, V31YN624 Bed · 2 Bath · End of Terrace
Daft ID: 117116163
