Tavneena, Charlestown, Co. Mayo
€29,000
- Selling Type:By Private Treaty
About this property
Highlights
- Full Planning Permission
- Spectacular Views of Countryside
- Convenient to Knock Airport
- Walking Distance to Local National School
Description
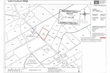
Site For Sale Full planning permission for 1 No. dormer style 4 bedroom dwelling house with domestic garage (floor area c.2300 sq.ft). Floor plans attached. Most desirable location with spectacular views of the surrounding countryside off the N17 (Charlestown/Kilkelly route) c.2 miles from Knock Airport & convenient to Tavneena National School. Area C.0.80 acres with option on adjoining C.2.35 acres. Viewing: Immediate viewing recommended & by prior appointment with the Sole Agents Directions: From Charlestown on the N17 towards Knock Airport, c. 4kms, Take the road left for Lurga Take the immediate right for Tavneena National School Continue c. 1.4kms to the site on the left Nearest Eircode to the property F12 WN84 Disclaimer: Callaghan Auctioneering for itself and as agent for the Vendor gives notice that: (i) The particulars are set out as a general outline for the guidance of intending purchasers, and do not constitute part of, an offer or contract. (ii) All descriptions, dimensions, references to condition and necessary permissions for use and occupation, and other details are given in good faith and are believed to be correct, but any intending purchasers should not rely on them as statements or representations of fact but must satisfy themselves by inspection or otherwise as to the correctness of each of them. (iii) No person in the employment of Callaghan Auctioneering or the vendor has any authority to make or give representation or warranty whatsoever in relation to this development
The local area
The local area
Sold properties in this area
Stay informed with market trends
Local schools and transport

Learn more about what this area has to offer.
School Name | Distance | Pupils | |||
|---|---|---|---|---|---|
| School Name | Tavneena National School | Distance | 370m | Pupils | 12 |
| School Name | Cloonlyon National School | Distance | 4.1km | Pupils | 36 |
| School Name | St.attracta's National School Charlestown | Distance | 4.7km | Pupils | 254 |
School Name | Distance | Pupils | |||
|---|---|---|---|---|---|
| School Name | Tavrane Central National School | Distance | 4.8km | Pupils | 12 |
| School Name | Barnacogue National School | Distance | 5.8km | Pupils | 21 |
| School Name | Carracastle Central National School | Distance | 6.3km | Pupils | 81 |
| School Name | Kilkelly National School | Distance | 7.2km | Pupils | 49 |
| School Name | Culmore National School | Distance | 8.3km | Pupils | 32 |
| School Name | Kilmovee National School | Distance | 8.6km | Pupils | 50 |
| School Name | Brusna National School | Distance | 8.7km | Pupils | 76 |
School Name | Distance | Pupils | |||
|---|---|---|---|---|---|
| School Name | St Joseph's Community College | Distance | 4.6km | Pupils | 201 |
| School Name | Scoil Muire Agus Padraig | Distance | 11.7km | Pupils | 410 |
| School Name | St Nathy's College | Distance | 13.1km | Pupils | 658 |
School Name | Distance | Pupils | |||
|---|---|---|---|---|---|
| School Name | St Attracta's Community School | Distance | 14.8km | Pupils | 710 |
| School Name | St Louis Community School | Distance | 16.8km | Pupils | 690 |
| School Name | Ballyhaunis Community School, Knock Road, Ballyhaunis, Mayo | Distance | 17.3km | Pupils | 750 |
| School Name | St Joseph's Secondary School | Distance | 22.8km | Pupils | 464 |
| School Name | Coláiste Cholmáin | Distance | 24.5km | Pupils | 378 |
| School Name | Corran College | Distance | 25.6km | Pupils | 134 |
| School Name | Mount St Michael | Distance | 25.6km | Pupils | 404 |
Type | Distance | Stop | Route | Destination | Provider | ||||||
|---|---|---|---|---|---|---|---|---|---|---|---|
| Type | Bus | Distance | 2.4km | Stop | Ireland West Airport | Route | 440 | Destination | Athlone | Provider | Bus Éireann |
| Type | Bus | Distance | 2.4km | Stop | Ireland West Airport | Route | 64 | Destination | Derry | Provider | Bus Éireann |
| Type | Bus | Distance | 2.4km | Stop | Ireland West Airport | Route | 440 | Destination | Knock Airport | Provider | Bus Éireann |
Type | Distance | Stop | Route | Destination | Provider | ||||||
|---|---|---|---|---|---|---|---|---|---|---|---|
| Type | Bus | Distance | 2.4km | Stop | Ireland West Airport | Route | 64 | Destination | Newcastle | Provider | Bus Éireann |
| Type | Bus | Distance | 2.4km | Stop | Ireland West Airport | Route | 64 | Destination | Galway | Provider | Bus Éireann |
| Type | Bus | Distance | 2.4km | Stop | Ireland West Airport | Route | 440 | Destination | Athlone | Provider | Bus Éireann |
| Type | Bus | Distance | 4.2km | Stop | Glentavraun | Route | 440 | Destination | Westport | Provider | Bus Éireann |
| Type | Bus | Distance | 4.2km | Stop | Glentavraun | Route | 440 | Destination | Athlone | Provider | Bus Éireann |
| Type | Bus | Distance | 4.2km | Stop | Glentavraun | Route | 440 | Destination | Westport | Provider | Bus Éireann |
| Type | Bus | Distance | 4.9km | Stop | Charlestown | Route | 64 | Destination | Newcastle | Provider | Bus Éireann |
Your Mortgage and Insurance Tools
Check off the steps to purchase your new home
Use our Buying Checklist to guide you through the whole home-buying journey.
Budget calculator
Calculate how much you can borrow and what you'll need to save
Ad performance
- Date listed04/09/2020
- Views14,715
- Potential views if upgraded to an Advantage Ad23,985
Similar properties
€30,000
SonnaghSite€35,000
Glann, Kilkelly, Co. MayoSite€37,500
Shammer, Kilkelly, Co. MayoSite€39,000
Cranmore, Carracastle, Charlestown, Mayo, Charlestown, Co. MayoSite
€45,000
Laveymore, Charlestown, Co. MayoSite€45,000
Park, Carracastle, Co. MayoSite€50,000
Derelict Cottage at Carracastle, Carracastle, Co. Mayo2 Bed · 1 Bath · Detached€50,000
Derelict Cottage at Carracastle, Carracastle, Co. MayoSite€50,000
Copplecurragh, Charlestown, Co. Mayo3 Bed · Detached€50,000
Lavey Beg, Charlestown, Co. MayoSite€50,000
Laveymore, Charlestown, Co. MayoSite€50,000
Main St., Bellahy, Co. SligoSite
Daft ID: 12714842
