Church Street, Collinstown, Co. Westmeath, N91X791
€170,000
- Estimated Stamp Duty:€1,700
- Selling Type:By Private Treaty
About this property
Description
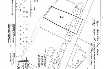
Residence in need refurbishment with detached shed, in the heart of Collinstown village set on approx 0.531-acre site with residential development potential. Serviced by mains water and septic tank. Collinstown is now serviced with the New TFI Local Link 818 Mullingar to Castlepollard via Collinstown, offering 5 daily return services Monday to Thursday, 8 on Friday, 7 on Saturday and 5 on Sundays. Conveniently located in the village of Collinstown with footpath to the village for necessary amenities such as crèche, primary school, local shop, new playground and Church. Nearby facilities include Fore Abbey, Tullynally Castle and gardens, within minutes of the Blue Flag Lake of Lough Lene which is famous for its fishing and water sports. Less than a 10-minute drive to Castlepollard town which has a host of amenities including Tesco express, hair and beauty salons, doctor’s clinic, pharmacy’s, Churches’, local shops and two primary schools and a post primary school, pubs and a strong GAA following for hurling, camogie, football and a gym. Approx one hours drive to Dublin Airport. May be subject to Vacant Property Grant May be subject to SEAI Grant All viewings must be accompanied by the selling agent. Directions In the village of Collinstown take the Castlepollard Road and the property is located on the left-hand side as indicated by our Sherry FitzGerald Davitt & Davitt For Sale Sign Eircode N91 X791
The local area
The local area
Sold properties in this area
Stay informed with market trends
Local schools and transport

Learn more about what this area has to offer.
School Name | Distance | Pupils | |||
|---|---|---|---|---|---|
| School Name | Collinstown National School | Distance | 280m | Pupils | 172 |
| School Name | Fore National School | Distance | 3.3km | Pupils | 97 |
| School Name | Whitehall National School | Distance | 5.5km | Pupils | 84 |
School Name | Distance | Pupils | |||
|---|---|---|---|---|---|
| School Name | Castlepollard Mixed National School | Distance | 6.5km | Pupils | 163 |
| School Name | Castlepollard Paroc.n S | Distance | 6.7km | Pupils | 25 |
| School Name | Moylagh National School | Distance | 8.4km | Pupils | 93 |
| School Name | St Tola's National School | Distance | 8.9km | Pupils | 213 |
| School Name | Taghmon National School | Distance | 8.9km | Pupils | 70 |
| School Name | St Ernan's National School | Distance | 9.0km | Pupils | 110 |
| School Name | Naomh Mhuire | Distance | 9.0km | Pupils | 40 |
School Name | Distance | Pupils | |||
|---|---|---|---|---|---|
| School Name | Castlepollard Community College | Distance | 6.6km | Pupils | 334 |
| School Name | Wilson's Hospital School | Distance | 13.9km | Pupils | 430 |
| School Name | St Oliver Post Primary | Distance | 14.3km | Pupils | 641 |
School Name | Distance | Pupils | |||
|---|---|---|---|---|---|
| School Name | St. Finian's College | Distance | 15.3km | Pupils | 877 |
| School Name | Columba College | Distance | 15.4km | Pupils | 297 |
| School Name | Loreto College | Distance | 15.8km | Pupils | 839 |
| School Name | Mullingar Community College | Distance | 15.9km | Pupils | 375 |
| School Name | Colaiste Mhuire, | Distance | 16.0km | Pupils | 835 |
| School Name | Athboy Community School | Distance | 20.1km | Pupils | 653 |
| School Name | Virginia College | Distance | 22.1km | Pupils | 844 |
Type | Distance | Stop | Route | Destination | Provider | ||||||
|---|---|---|---|---|---|---|---|---|---|---|---|
| Type | Bus | Distance | 170m | Stop | Collinstown | Route | 111a | Destination | Cavan | Provider | Bus Éireann |
| Type | Bus | Distance | 170m | Stop | Collinstown | Route | 818 | Destination | Castlepollard | Provider | Tfi Local Link Longford Westmeath Roscommon |
| Type | Bus | Distance | 170m | Stop | Collinstown | Route | 818 | Destination | Mullingar | Provider | Tfi Local Link Longford Westmeath Roscommon |
Type | Distance | Stop | Route | Destination | Provider | ||||||
|---|---|---|---|---|---|---|---|---|---|---|---|
| Type | Bus | Distance | 170m | Stop | Collinstown | Route | 111a | Destination | Athboy | Provider | Bus Éireann |
| Type | Bus | Distance | 170m | Stop | Collinstown | Route | 111a | Destination | Delvin | Provider | Bus Éireann |
| Type | Bus | Distance | 5.5km | Stop | Whitehall | Route | 447 | Destination | Mullingar | Provider | Bus Éireann |
| Type | Bus | Distance | 5.5km | Stop | Whitehall | Route | 447 | Destination | Mullingar | Provider | Bus Éireann |
| Type | Bus | Distance | 6.5km | Stop | Castlepollard | Route | 111a | Destination | Cavan | Provider | Bus Éireann |
| Type | Bus | Distance | 6.5km | Stop | Castlepollard | Route | 818 | Destination | Castlepollard | Provider | Tfi Local Link Longford Westmeath Roscommon |
| Type | Bus | Distance | 6.5km | Stop | Castlepollard | Route | 447 | Destination | Mullingar | Provider | Bus Éireann |
Your Mortgage and Insurance Tools
Check off the steps to purchase your new home
Use our Buying Checklist to guide you through the whole home-buying journey.
Budget calculator
Calculate how much you can borrow and what you'll need to save
BER Details
Statistics
- 03/03/2025Entered
- 15,419Property Views
- 25,133
Potential views if upgraded to a Daft Advantage Ad
Learn How
Similar properties
€195,000
2 The Hill, Collinstown, Co. Westmeath, N91EK103 Bed · 1 Bath · Semi-D€200,000
Cummerstown, Collinstown, Co. Westmeath, N91YC933 Bed · 1 Bath · Detached€250,000
6 Loughstown Holiday Village, Drumcree, Drumcree, Co. Westmeath, N91F6703 Bed · 2 Bath · Bungalow€470,000
Glenidan 3, Clog Na Léinn, Clog Na Léinn, Collinstown, Co. Westmeath4 Bed · 2 Bath · Detached
Daft ID: 121003480